Al sinds 1933 dé vastgoedspecialist Twee vestigingen in regio Alkmaar Maar liefst 9 certificeringen
Aanbod Terug naar aanbod
Heiloo Holleweg 100
€ 2.975.000 k.k.

826 m2

Wonen

1.817 m2

Perceel

6

Kamers

Heiloo Holleweg 100
€ 2.975.000 k.k.

826 m2

Wonen

1.817 m2

Perceel

6

Kamers

Omschrijving

Wat oogt als ingetogen, onthult binnen een ware parel aan ruimte, rust en comfort – met een groene oase als tuin die het verhaal compleet maakt.

Dit uitzonderlijke pand, een voormalig zaadpakhuis, combineert karakteristieke historie met duurzaam en comfortabel wonen en werken. De renovatie van het gemeentelijk monument uit 1923 is onder architectuur uitgevoerd en volledig aangepast aan de hedendaagse eisen. Dit heeft geleid tot een buitengewone energieprestatie met energielabels A en A++.

De gedetailleerde renovatie is gerealiseerd met behoud van authentieke stijlelementen, waaronder de hoge houten balkenplafonds, staalconstructies, geveldetails en raampartijen. Tegelijkertijd is het pand voorzien van moderne installaties, waaronder WTW-units, HR++ glas, 40 zonnepanelen, volledig geïsoleerd en vloerverwarming in alle vertrekken. De verbouwing is uitgevoerd door lokale vakmensen, met verantwoord materiaalgebruik en hergebruik van originele onderdelen.

Dit multifunctionele pand bestaat uit een royale familiewoning, twee etages met kantoorruimte en een ruim appartement, elk met een eigen karakter en gebruiksmogelijkheden. De indeling biedt flexibiliteit voor wie wonen, werken, creëren en eventueel verhuren op één locatie wil combineren. Alles is zeer zorgvuldig ontworpen en uitgevoerd, met oog voor historie, detail, kwaliteit, comfort en duurzaamheid, waarbij het haar bescheiden uitstraling complimenteert.

Het royale perceel waarop dit pand staat, biedt ruimte en privacy. De tuin vormt zonder twijfel het mooiste middelpunt: Wie door de tuin loopt, merkt het meteen: dit is een plek waar het groen je omarmt. In elk seizoen leeft de tuin mee – bloesem in het voorjaar, kleurrijke borders in de zomer en warme tinten in de herfst. De woning is overigens rustig gelegen in het hart van Heiloo, waar de charme van het dorp samenvalt met de dagelijkse voorzieningen.

Woonvilla
Deze woning met verrassend veel ruimte en potentieel biedt een vrijheid aan indeling en gebruik, met diverse plekken voor wonen, werken of creëren. Het interieur straalt rust en kwaliteit uit, met gebruik van duurzame materialen en ambachtelijk werk. De buitenruimte sluit naadloos aan op het huis en nodigt uit tot veelzijdig gebruik, passend bij de seizoenen en persoonlijke wensen.

Kantoorruimte(s)
Een karakteristieke plek om kantoor te houden, ingericht als werkruimte en voorzien van meerdere functies. De sfeer is eigen en authentiek, met ruimte voor zowel zelfstandig gebruik als verhuur. De voorzieningen zijn praktisch en eigentijds, met veel aandacht voor detail en energiezuinigheid.

Appartement
Een ruim appartement met een verrassende indeling, geschikt voor verschillende doeleinden. De ruimte heeft een verfijnde elegantie, met voorzieningen die aansluiten bij de hedendaagse woonwens. Hier is opnieuw gekozen voor een zorgvuldige afwerking en doordachte precisie.

Tuin
De tuin is met oog voor de historie en onder architectuur aangelegd, met een prettige balans tussen openheid en beschutting. Bloeiende borders, fruitbomen en een besloten moestuin vormen samen een plek die meebeweegt met de seizoenen. Alles is prachtig onderhouden, de grasvelden stralen rust uit, terwijl meerdere terrassen – elk met hun eigen sfeer – uitnodigen om op ieder moment van de dag van de zon of schaduw te genieten. Alles is met gevoel voor ritme en balans vormgegeven, waarbij ook het praktische een plek heeft gekregen – zonder de harmonie te verstoren.

Voorzieningen
Het pand is zorgvuldig getransformeerd om comfort en veiligheid te waarborgen, met een doordachte isolatie die het binnenklimaat beschermt. Voor een gerust gevoel zorgen de diverse beveiligingsvoorzieningen, stil en betrouwbaar aanwezig. Op eigen terrein is er ruim voldoende plek om te parkeren, alles vanzelfsprekend en zonder moeite.

Kenmerken
– Totale inhoud: ca. 3.585 m³;
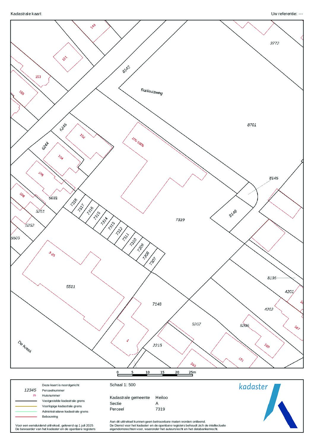
– Perceeloppervlakte: 1.817 m²;
– Woonoppervlakte van ca. 404 m² exclusief de kantoorruimte van ca. 395 m²;
– Bestemming: wonen en werken.

Deze vrijstaande villa biedt meer dan alleen een huis – het is een plek waarin wonen, werken, creëren en ontspannen in elkaar overvloeien.

Bent u nieuwsgierig geworden naar wat er achter deze gevel schuil gaat? Neem gerust contact op voor een bezichtiging en ontdek wat deze zeldzame parel u te bieden heeft.

Kenmerken

Prijs
€ 2.975.000 k.k.
Status
Beschikbaar
Aanvaarding
In overleg

Oppervlaktes en inhoud

Perceel
1.817 m2
Woonoppervlakte
826 m2
Inhoud
3.585 m3
Buitenruimte
0 m2

Bouw

Type object
Woonhuis
Soort
Villa
Type
Vrijstaande woning
Bouwjaar
1923
Dak type
Mansardedak
Isolatievormen
Volledig geïsoleerd

Indeling

Aantal kamers
6
Aantal slaapkamers
4

Ligging

Ligging
Aan rustige weg, In centrum, In woonwijk, Beschutte ligging

Tuin

Staat
Aangelegd onder architectuur
Achterom
Nee

Energieverbruik

Energielabel
A++

Voorzieningen

Soorten warm water
CV ketel, Elektrische boiler eigendom
Parkeer faciliteiten
Op eigen terrein

Plattegronden

Documenten

Kaart van het Kadaster Download